Starting point:
Following the exciting experience of Ultrasonic Insects Volume 1, I decided to continue my recording quest with this incredible microphone, the Sanken CO-100K.
For volume 1, I had recorded insects that were relatively common and easy to find, but I was far from covering the hundred orthoptera species in France capable of singing.
For volume 2, I conducted research to find out other species whose songs may be interesting to record. I established a table containing the places, habitats, and times of day where and when these insects can be encountered. For this, I used several guides and consulted the references by the INPN (National inventory of natural heritage). I spotted several remarkable insects, which I absolutely wanted to find. It required traveling several thousand kilometers for almost a year.
ย
Hardware:
Last yearโs experience led me to make some updates to my hardware. I noticed that I often wasted time adjusting my boom pole and cables, so I purchased a quarter-turn lock pole with an integrated cable. For more comfort, I also bought a lighter windshield. I gained a lot of responsiveness.
The second problem I encountered was the bad quality of my photos. With a phone, you have to get very close to an insect to hopefully get a mediocre photo. So I purchased a reflex camera with a good macro lens to take much nicer pictures, have metadata, and more easily identify certain specimens. For example, certain species of bush-crickets are differentiated by the shape of a small organ invisible to the naked eye.
ย
Recording anecdotes:

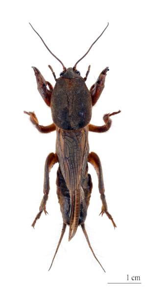
One of the first insects on my list was the mole cricket, whose song is so loud that it can be heard hundreds of meters away. This strange animal, which looks like an extra-terrestrial, digs a pavilion-shaped burrow and uses it as an amplifier. It is quite a rare species, singing only at the beginning of the night in spring, in the vineyards, when the weather conditions are favorable. In March, friends living an hour and a half drive from my home heard some mole crickets several evenings in a row. So I went to spend a weekend with them, but the mole crickets did not sing. Afterwards, I waited for my friends to point them out to me again but since the mole crickets only sing for an hour or two, I could never get there in time. I finally chose another place to record, where I went several evenings with no results. Finally, one windy evening, I parked at the edge of a vineyard, and the song of a mole cricket rang out, I felt like I had discovered treasure!
The other insect that gave me a lot of trouble is the wing-buzzing grasshopper, Stenobothrus Rubicundulus. It is a unique grasshopper that claps its wings together to make a song, instead of rubbing its legs against its elytra. Its French name is Stenobothre helicopter. The species is quite rare and is only known in a few areas of the Alps, at high altitudes. I looked for it at the border of France and Italy, at the Col de Larche. I had recent data with precise GPS coordinates. The sky was perfectly clear (a necessary condition for the grasshoppers to sing), and I was in the middle of its breeding season. I crisscrossed several hectares of mountain pastures for hours, without success. Hundreds of other insects were singing, but among them, I couldnโt hear or see any wing-buzzing grasshopper. Tired and disappointed, I decided to abandon my hunt. As I was getting back to my car, at the side of the road, I suddenly heard a soundโฆ it was a wing-buzzing grasshopper!

During a day of recording in the โMauresโ mountains, I heard a plebeian cicada up in a tree at the side of a small road. The place was perfectly calm (quite rare), and the cicada was the only one singing โ ideal recording conditions. Unfortunately, my boom pole was too short to get me close enough to the cicada, and it was impossible to climb the tree. So I stood up on the roof of my car. A passing motorist looked at me strangely.

There were also trips where I did not find the insects I was looking for, like Arcyptera Microptera and Arcyptera Kheili, which I found but they did not sing due to sudden clouds covering the sun. There is also the short-tailed bush cricket polysarcus scutatus, which I probably missed by a few days (its singing period is only a few weeks). Itโs discouraging, but itโs part of the job. Certain species therefore remain on my list for a future volume of Ultrasonic Insects.
One evening, I heard a sound that reminded me of the song of a mole cricket in the scrubland a few kilometers from my home. I had never heard this song before, so I went back home to get my recording equipment but the sound was gone after that. I came back the next evening, and the sound was there again. But every time I approached the source of the song, it stoppedโฆ then started again somewhere else. I thought there might be several specimen, quite shy for a night cricket though. Around midnight, all songs stopped and I didnโt have a good recording. The next day, I discovered that the insect I thought I had discovered was in factโฆ a bird, the European nightjar!

Lesser evil: there are two crickets that I recorded perfectly but couldnโt take a picture of. Among them: the Marsh Cricket, which is black, measures 5 millimeters, and hides in tall grass near ponds. You might as well look for a needle in a haystack. So I took a photo of its habitat.
The Bordeaux cricket sings hidden in piles of stones and gravel. He is extremely shy and stops singing at the slightest movement. It took me a few hours, with small movements, to record it closely enough. And to photograph it, I had to find the stone under which it was hiding, lift itโฆ and it disappeared at lightning speed under another stone. So I ended up taking a photo of his pile of stones.
There are also lucky moments, such as the discovery of a Spanish locust, Ramburiella Hispanica a few kilometers from my home, or the entry through my studio window of a big hoverfly Volucella Zonaria, ready to record!

Nature offers us a wide variety of sounds. Humbly, I bring you a small sample in this second volume of Ultrasonic Insects. I hope you enjoy it as much as I enjoyed recording it.
ย
A big thanks to Nicolas Titeux for giving us a behind-the-scenes look at recording the sounds for Ultrasonic Insects Volume 2!





